- +1
超强台风“森拉克”成4月风王!福建35.7℃,中雨、大雨、强对流即将抵达!
最新消息!
17级以上,超强台风“森拉克”
最大风力已达70米/秒
成4月风王
福建天气即将反转!
据中央气象台
发布最新消息——
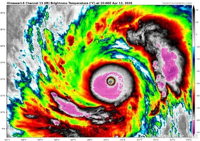
今年第4号台风“森拉克”(超强台风级)的中心今天(13日)下午2点钟位于美国关岛东偏南方向约370公里的西北太平洋洋面上,中心附近最大风力有17级以上(70米/秒),中心最低气压为900百帕,七级风圈半径为450—500公里,十级风圈半径为140—150公里,十二级风圈半径为80公里。
预计,“森拉克”将以每小时15—20公里的速度向西北方向移动,强度变化不大,逐渐靠近美国关岛附近洋面,15日逐渐转向偏北方向移动,强度逐渐减弱。未来“森拉克”对我国近海无影响。
据中国气象频道气象分析师
@weatherman_信欣
发布消息:
今晨中央气象台继续给出“森拉克”70米/秒,900百帕的强度评价,超过2021年的舒力基(68米/秒,905百帕),成为CMA强度评价的4月风王。未来,“森拉克”的强度会逐渐减弱,但14日晚可能从塞班岛南侧近海掠过,塞班岛处于超强台风前进右侧,风雨会极强。
福建接下来天气如何?
据福建气象发布最新预报
未来三天
福建仍有降雨天气
尤其是中北部地区雨势明显
局部有大雨到暴雨
并伴有强对流天气
具体预报
13日,全省阴到多云,中北部有阵雨或雷阵雨,局部大雨到暴雨。
14日,全省阴到多云,中北部有阵雨或雷阵雨,局部大雨到暴雨。
15日,全省阴,大部有阵雨或雷阵雨,部分中雨,局部大雨到暴雨。
需防范连续降雨
对交通运输、农业等方面的不利影响
还需警惕频繁降雨可能导致的
山体滑坡、泥石流等次生灾害
公众雨天外出请留意交通安全
及时关注临近预报预警信息
尽量避开较强降雨和强对流时段
如果遇到短时强降雨
要小心城市低洼路段积水
如遇雷暴大风
需尽量远离
广告牌、临时搭建物和高大的树木
防止高空坠物
气温方面
据福建最新高温排行
全省多个站点出现35℃左右高温
最高已达35.7℃
在大田华兴镇测得
未来五天
福建大部地区气温有小幅波动
同时受频繁降雨影响
气温总体先降后升
公众请根据气温变化及时调整着装
做好健康防护
特别提醒,福建大雾来袭!
今天(4月13日)
福建省气象台
继续发布“大雾预警Ⅳ级”
今天至15日
沿海地区的部分县市和海区
及内陆地区的局部县市
将有能见度低于500米的大雾
其中
沿海地区局部县市和海区
能见度将低于200米
交通安全风险
今天至15日,受大雾影响,沿海地区的部分县市和海区及内陆地区的局部县市交通安全风险较高,建议相关部门提前做好大雾防范工作。
今天至 15 日大雾影响较高风险路段
厦门方面
今明两天受副高控制
气温较高
最高温维持在29~30℃上下
到了15日
有弱冷空气补充
厦门气温小幅下降
16日最高温降至26℃左右
并且受冷暖空气交互影响
15~18日厦门有降水过程
不过总体雨量不大
大家到时候出门记得带伞
往期推荐
最新!厦门翔安国际机场将进入校飞阶段
翔安这场活动火了!老人小孩玩到不想走!
最新消息!国际油价大涨,金银“跳水”
来源:中央气象台、福建气象、厦门气象
校对:张琳、黄静怡
一审:任旭萍、朱毅力
原标题:《超强台风“森拉克”成4月风王!福建35.7℃,中雨、大雨、强对流即将抵达!》
本文为澎湃号作者或机构在澎湃新闻上传并发布,仅代表该作者或机构观点,不代表澎湃新闻的观点或立场,澎湃新闻仅提供信息发布平台。申请澎湃号请用电脑访问http://renzheng.thepaper.cn。





- 报料热线: 021-962866
- 报料邮箱: news@thepaper.cn
互联网新闻信息服务许可证:31120170006
增值电信业务经营许可证:沪B2-2017116
© 2014-2026 上海东方报业有限公司




